你知道吗?最近日本那边的台风可是闹得沸沸扬扬的,简直就像是一群明星在舞台上大放异彩!没错,说的就是那些让人又爱又恨的“台风明星”。今天,就让我带你一起走进这个神秘的世界,看看这些台风明星是如何在狂风暴雨中独领风骚的!
台风明星的诞生

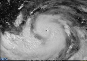
首先,得先了解这些台风明星是如何诞生的。你知道吗,台风的形成其实是一个复杂的过程。它需要海水温度达到26.5℃以上,同时还要有足够的风力来推动海水上升,形成热带低压。当这个低压逐渐增强,形成热带风暴,再进一步发展,就成了台风。
台风明星的颜值担当——名字

说到台风明星,不得不提的就是它们的名字。你知道吗,台风的名字可是由世界气象组织台风委员会统一分配的。每个国家和地区都有自己的一套命名规则,比如日本、韩国、越南等。这些名字五花八门,有的听起来温柔如水,有的却凶猛如虎。比如,2019年的台风“利奇马”就让人印象深刻。
台风明星的舞台——日本

日本,这个位于太平洋西北部的岛国,每年都会迎来不少台风明星。这些台风明星在日本的上空翩翩起舞,给这个国家带来了无尽的惊喜和挑战。据统计,日本每年平均会受到10次以上的台风袭击,其中不乏一些极具破坏力的台风。
台风明星的“才艺”展示——破坏力
说到台风明星的“才艺”,那可真是让人瞠目结舌。台风的破坏力主要来自于强风、暴雨和风暴潮。强风可以摧毁房屋、树木,甚至吹翻汽车;暴雨会导致洪水、泥石流等灾害;风暴潮则会吞噬沿海城市。这些台风明星在舞台上展示的“才艺”,可谓是惊心动魄。
台风明星的“粉丝”效应
你知道吗,台风明星在日本可是拥有众多“粉丝”的。这些粉丝对台风明星的研究可谓深入骨髓,他们关注台风的动向,研究台风的路径,甚至预测台风的强度。这些“粉丝”们,就像是台风明星的忠实拥趸,时刻关注着他们的动态。
台风明星的“落幕”
当然,再耀眼的明星也有落幕的时候。当台风明星在日本的上空肆虐过后,它们会逐渐减弱,最终消失在太平洋的深处。这时,人们会感叹:又一场台风明星的表演结束了。
通过这篇文章,相信你已经对日本台风明星有了更深入的了解。这些台风明星在狂风暴雨中展现出的风采,让人既敬畏又感叹。它们就像是一群勇敢的战士,在太平洋上演绎着一场场惊心动魄的战斗。而我们也应该时刻关注这些台风明星的动向,为他们的“粉丝”们提供更多的信息和帮助。毕竟,安全才是最重要的!
转载请注明出处:admin,如有疑问,请联系()。
本文地址:https://sdbox.cn/post/1165.html
